Red El Mayadeen

  • Ar
  • En
  • x
Red El Mayadeen

Slogan

  • Noticias
    • Política
    • Cultura y Arte
    • Deportes
    • Salud
    • Tecnología
    • Medio Ambiente
    • Medios Internacionales
    • Crónicas del Medio Oriente
  • Video
    • Focus
    • Como te Cuento
    • Al Mayadeen Semanal
    • Poesía en Resistencia
    • Imagínate
    • Flashdotnet
    • Despixelado
  • Opinión
    • Artículos Exclusivos
    • Artículos
    • Entrevistas
    • A Profundidad
    • Escritores
  • Televisión
  • Multimedia
    • Infografías
    • Caricaturas
    • Historietas
  • Coberturas
  • • En Vivo
Noticias
  • Política
  • Cultura
  • Deportes
  • Salud
  • Tecnología
  • Medio Ambiente
  • Medios Internacionales
Opinión
  • Artículos
  • Escritores
  • Artículos Exclusivos
  • A Profundidad
  • Entrevistas
Video
Televisión
  • Programas
  • Últimos episodios
  • Frecuencia
Multimedia
  • Infografías
  • Caricatura
  • Historietas
General
  • Coberturas
  • Contactar
  • Quiénes somos
  • Medio Oriente
  • América Latina
  • EE.UU.-Canadá
  • Europa
  • África
  • Asia
  • Oceanía
  1. Inicio
  2. Noticias
  3. Medio Ambiente
  4. Trayectoria del huracán Melissa: se debilita ligeramente

Trayectoria del huracán Melissa: se debilita ligeramente

  • Al Mayadeen Español Al Mayadeen Español
  • Autor: Al Mayadeeen español
  • Fuente: Agencias
  • Hoy 01:41
  • 8 Visualizaciones

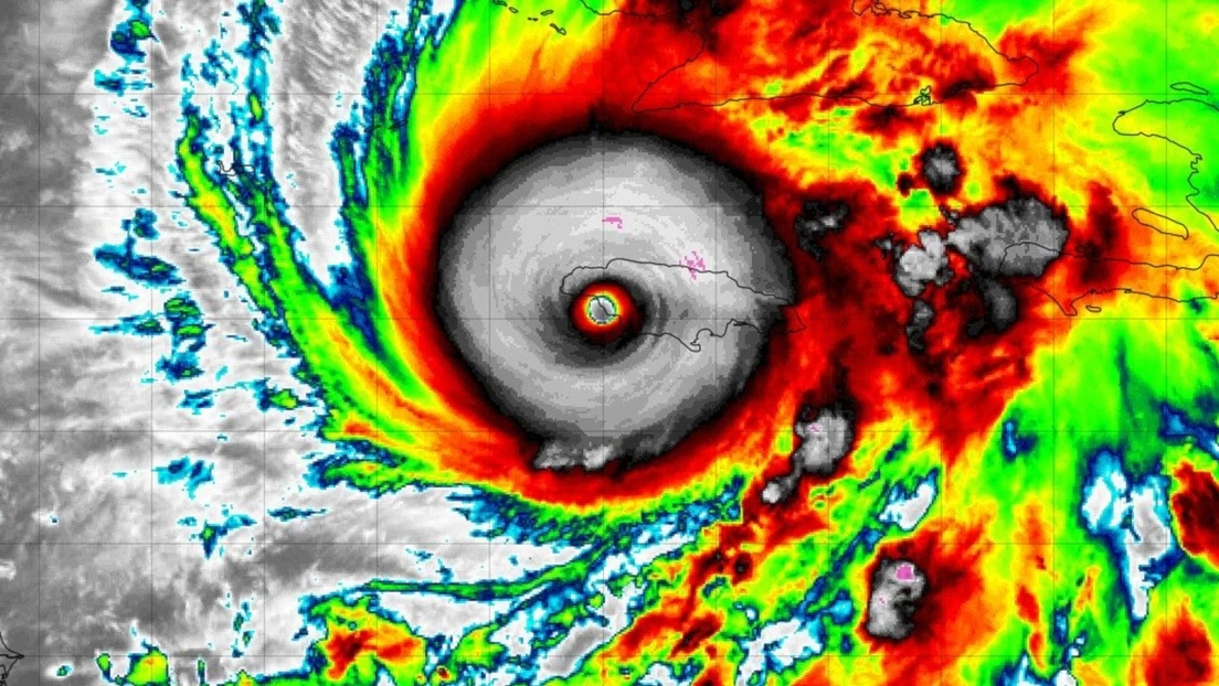
Actualmente el fenómeno mantiene vientos máximos sostenidos de 230 kilómetros por hora, y continúa siendo una amenaza grave para el Caribe.

Escuchar
  • x
  • Trayectoria del huracán Melissa: baja a categoría cuatro
    Trayectoria del huracán Melissa: baja a categoría cuatro

El huracán Melissa descendió a categoría cuatro tras su paso sobre Jamaica, según informó el Centro Nacional de Huracanes (NHC) de Estados Unidos.

Actualmente el fenómeno mantiene vientos máximos sostenidos de 230 kilómetros por hora, y continúa siendo una amenaza grave para el Caribe. 

Desde redes sociales circulan imágenes que muestran inundaciones severas, derrumbes y estructuras colapsadas, especialmente en la ciudad de Montego Bay.

LEA TAMBIÉN: Huracán Melissa: Jamaica registra vientos de hasta 295 km/h

Advertencias del gobierno de Jamaica

Noticias Relacionadas

Huracán Melissa: Jamaica registra vientos de hasta 295 km/h

Red en Defensa de la Humanidad exige fin del bloqueo a Cuba

Durante una conferencia de prensa, el primer ministro Andrew Holness advirtió que “no existe infraestructura en la región capaz de resistir un huracán de categoría cinco”.

El mandatario subrayó que el mayor reto tras el impacto de Melissa será la rapidez en la recuperación y la reconstrucción de las zonas afectadas.

 
 
 
 
 
Ver esta publicación en Instagram
 
 
 
 
 
 
 
 
 
 
 

Una publicación compartida por Al Mayadeen Español (@almayadeenenespanol)

Desplazamiento hacia Cuba

El Centro de Pronósticos del Instituto de Meteorología de Cuba comunicó que, en las próximas 12 a 24 horas, el ciclón girará hacia el nordeste y acelerará su desplazamiento.

Se prevé que toque tierra esta noche por algún punto de la costa sur oriental de la nación antillana, entre las provincias de Granma y Santiago de Cuba.

El presidente de la República, Miguel Díaz-Canel Bermúdez, calificó el fenómeno como uno de los más severos en el territorio nacional. 

Destacó además la alta cifra de personas evacuadas hacia lugares seguros y las acciones para proteger los recursos económicos y las pertenencias de los ciudadanos en zonas vulnerables.

  • huracán Melissa
  • ciclón tropcial
  • Jamaica
  • Cuba
  • Medio Ambiente
  • pronóstico del tiempo
  • Insmet
Al Mayadeen Español

Al Mayadeen Español

Canal panárabe de noticias

  • x

Más Visto

Sismos sacuden a Ecuador, Chile, Costa Rica y Argentina

Terremotos sacuden a Ecuador, Chile, Costa Rica y Argentina

  • 22 Octubre 15:08
Iván Cepeda gana consulta del Pacto Histórico y será candidato en 2026. Foto: teleSUR

Iván Cepeda gana consulta del Pacto Histórico y será candidato en 2026

  • 27 Octubre 00:03
Van de Wouw triunfa con récord en mundial de ciclismo de pista.

Van de Wouw triunfa con récord en mundial de ciclismo de pista

  • 26 Octubre 01:59
Terremoto en Sindirgi agosto de 2025. Este octubre se registró otro terremoto de magnitud 6,1.

Terremoto en Turquía: registran 6,1 grados en el oeste

  • 27 Octubre 22:29

Temas relacionados

Ver más
Impacto del huracán Melissa: 1,5 millones de personas en riesgo
Medio Ambiente

Impacto de huracán Melissa: 1,5 millones en riesgo en Jamaica

  • Al Mayadeen Español Al Mayadeen Español
  • 28 Octubre
Trayectoria del huracán Melissa hoy: alcanza categoría cinco. Foto: NNOA.
Medio Ambiente

Trayectoria del huracán Melissa: sube a categoría cinco

  • Al Mayadeen Español Al Mayadeen Español
  • 27 Octubre
Red El Mayadeen

Canal Satelital Pan-árabe Informativo Independiente

  • x
  • Frecuencia
  • Sobre Nosotros
  • Contáctenos
  • Versión árabe
  • Noticias
  • Video
  • Política de Privacidad
  • Televisión
  • Opinión
  • Últimos episodios
Android
iOS

Todos los derechos reservados 2024