Red El Mayadeen

  • Ar
  • En
  • x
Red El Mayadeen

Slogan

  • Noticias
    • Política
    • Cultura y Arte
    • Deportes
    • Salud
    • Tecnología
    • Medio Ambiente
    • Medios Internacionales
    • Crónicas del Medio Oriente
  • Video
    • Focus
    • Como te Cuento
    • Al Mayadeen Semanal
    • Poesía en Resistencia
    • Imagínate
    • Flashdotnet
    • Despixelado
  • Opinión
    • Artículos Exclusivos
    • Artículos
    • Entrevistas
    • A Profundidad
    • Escritores
  • Televisión
  • Multimedia
    • Infografías
    • Caricaturas
    • Historietas
  • Coberturas
  • • En Vivo
Noticias
  • Política
  • Cultura
  • Deportes
  • Salud
  • Tecnología
  • Medio Ambiente
  • Medios Internacionales
  • Crónicas del Medio Oriente
Opinión
  • Artículos
  • Escritores
  • Artículos Exclusivos
  • A Profundidad
  • Entrevistas
Video
Televisión
  • Programas
  • Últimos episodios
  • Frecuencia
Multimedia
  • Infografías
  • Caricatura
  • Historietas
General
  • Coberturas
  • Contactar
  • Quiénes somos
  • Medio Oriente
  • América Latina
  • EE.UU.-Canadá
  • Europa
  • África
  • Asia
  • Oceanía
  1. Inicio
  2. Noticias
  3. Medio Ambiente
  4. Huracanes más intensos del Atlántico: Melissa bate récords

Huracanes más intensos del Atlántico: Melissa bate récords

  • Al Mayadeen Español Al Mayadeen Español
  • Autor: Al Mayadeeen español
  • Fuente: Agencias
  • 28 Octubre 19:56
  • 29 Visualizaciones

En cuanto a la velocidad del viento, se ubica en el segundo lugar histórico, con vientos máximos sostenidos de 297 km/h, igualando los registros de Wilma (2005) y Dorian (2019).

Escuchar
  • x
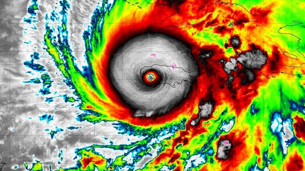
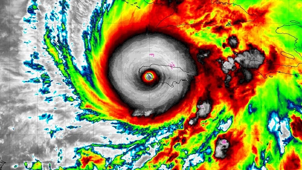
  • Huracán Melissa: Jamaica registra vientos de hasta 295 km/h
    Huracán Melissa: Jamaica registra vientos de hasta 295 km/h.

El huracán Melissa tocó tierra en el suroeste de Jamaica, cerca de la localidad de New Hope, como un poderoso ciclón de categoría cinco, confirmó el Centro Nacional de Huracanes de EE.UU.

Considerado uno de los eventos meteorológicos más intensos jamás registrados en el Atlántico, alcanzó vientos sostenidos de hasta 295 km/h, acompañados de lluvias torrenciales, y ya provoca daños significativos en las zonas costeras y rurales.

Las autoridades calificaron la situación como “extremadamente peligrosa y potencialmente mortal”, y exhortaron a la población a mantenerse bajo resguardo, incluso cuando el ojo del huracán,donde los vientos cesan temporalmente, pase sobre sus comunidades.

Noticias Relacionadas

Irán envía ayuda humanitaria a Cuba tras el paso del huracán Melissa

Venezuela envía cinco mil toneladas de ayuda humanitaria a Cuba

 
 
 
 
 
Ver esta publicación en Instagram
 
 
 
 
 
 
 
 
 
 
 

Una publicación compartida por Al Mayadeen Español (@almayadeenenespanol)

Uno de los más fuertes del Atlántico

De acuerdo con las mediciones, Melissa registró una presión mínima central de 892 milibares, una cifra que lo convierte en el tercer huracán más intenso del Atlántico, solo por detrás de Wilma (882 mb, 2005) y Gilbert (888 mb, 1998).

En cuanto a la velocidad del viento, se ubica en el segundo lugar histórico, con rachas máximas sostenidas de 297 km/h, igualando los registros de Wilma (2005) y Dorian (2019).

Según la especialista en ciclones tropicales de la Organización Meteorológica Mundial, Anne-Claire Fontan, se esperan: 

  • marejadas ciclónicas de hasta cuatro metros de altura 
  • precipitaciones que superarán los 70 centímetros.

Ante la magnitud del huracán, las autoridades locales y regionales activaron todos los protocolos de emergencia y reforzado las medidas preventivas en el Caribe para mitigar el impacto de la tormenta.

  • huracán Melissa
  • Jamaica
  • Atlántico
  • presión baja
Al Mayadeen Español

Al Mayadeen Español

Canal panárabe de noticias

  • x

Más Visto

Emiratos Árabes Unidos e Irak empatan en repesca asiática de fútbol.

Emiratos Árabes Unidos e Irak empatan en repesca asiática de fútbol

  • 14 Noviembre 00:22
Dos décadas después, Argentina repite triunfador 2-0 contra Angola.

Dos décadas después, Argentina repite triunfador 2-0 contra Angola

  • 14 Noviembre 19:50
Boicot a "Israel" en la COP30

Boicot a "Israel" en COP-30: delegaciones expulsan a su representante

  • 12 Noviembre 20:55
​Líbano libera a Hannibal Gaddafi tras casi 10 años de detención (Foto: prensa libanesa)

​Líbano libera a Hannibal Gaddafi tras casi 10 años de detención

  • 10 Noviembre 23:26

Temas relacionados

Ver más
Haití reportó el mayor número de fallecidos. Foto: AFP.
Medio Ambiente

Huracán Melissa deja 50 muertos y devastación en el Caribe

  • Al Mayadeen Español Al Mayadeen Español
  • 31 Octubre
Huracán Melissa deja severos daños a su paso por el oriente de Cuba (Foto: EFE)
Política

Colombia alista envío de ayuda al Caribe tras paso de huracán Melissa

  • Al Mayadeen Español Al Mayadeen Español
  • 30 Octubre
Red El Mayadeen

Canal Satelital Pan-árabe Informativo Independiente

  • x
  • Frecuencia
  • Sobre Nosotros
  • Contáctenos
  • Versión árabe
  • Noticias
  • Video
  • Política de Privacidad
  • Televisión
  • Opinión
  • Últimos episodios
Android
iOS

Todos los derechos reservados 2024